David Moreno

Bodegas David Moreno: Wo die Traube ihre Seele zurückerhielt

In der Rioja, einem Namen, der längst zum Klang globaler Weinmacht geworden ist, gibt es eine Ecke, die das Uhrwerk der Zeit anders ticken lässt. Nicht im berühmten Haro, nicht im geschäftigen Logroño, sondern im Alto Najerilla, einem Hochtal, das die Welt vergessen zu haben scheint. Hier, wo die Hügel sanfter sind und der Himmel weiter, vollzog ein Mann namens David Moreno eine Tat der Rückeroberung. Nicht von Land, sondern von Sinn.

Die Erde: Das vergessene Hochtal

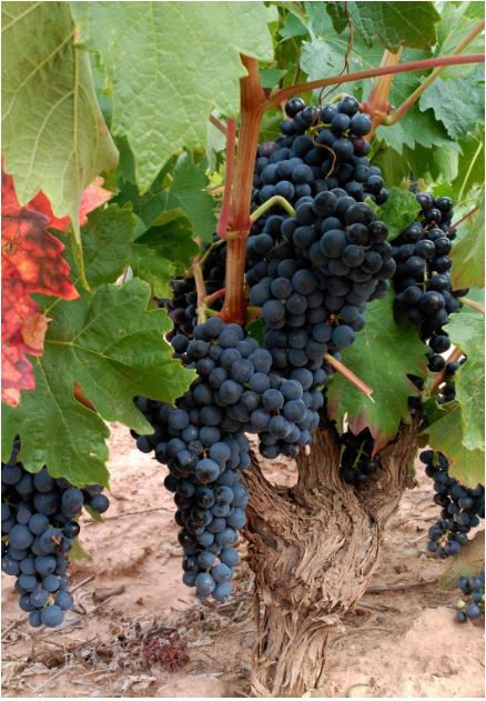
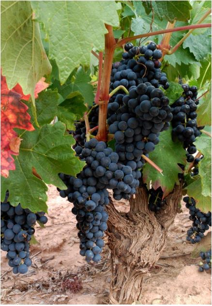
Der Alto Najerilla ist kein spektakulärer Ort. Seine Magie liegt in der Zurückhaltung. Auf 600 Metern Höhe, in einer zerklüfteten Landschaft ohne große Konzentrationen, liegen die Weinberge verstreut wie einsame Wächter. Ihre Reben sind keine Jungspunde; sie sind alt und erfahren zwischen 35 und hundert Jahren, wurzelnd in kargen Böden. Diese Lagen schenken keine Masse, sondern Konzentration und Nerv. Eine Konzentration, die nicht erzwungen, sondern über Jahrzehnte in die alten Stöcke eingesickert ist. Hier wächst nicht der moderne, kraftstrotzende Rioja. Hier reift die stille, granitene Essenz der Region heran.

Der Traum: Der Bruch mit der Uhr

1981 traf David Moreno eine Entscheidung, die in ihrer Radikalität nur von ihrer Einfachheit übertroffen wird: Er verließ seine Karriere als Ingenieur in Barcelona. Nicht für den Ruhm, nicht für das Geschäft. Für den Traum. Den Traum, das Wissen seines Großvaters und Vaters – kein akademisches, sondern ein händisches, erdverbundenes – wieder mit Leben zu füllen. Er kehrte nicht in ein Weingut zurück. Er kehrte in ein Vakuum zurück, das er mit eigenen Händen, Ziegel für Ziegel, zu einem Heiligtum füllen würde.

Der Bau der Kellerei ab 1988 war kein Architekturprojekt. Es war ein wachsendes Skelett für eine Seele. Und diese Seele sollte von Anfang an geteilt werden. „Offen für die Öffentlichkeit zu sein“ war keine Marketingstrategie – es war die Philosophie. David Moreno praktizierte Weintourismus, als der Begriff noch nicht erfunden war. Weil er verstand, dass ein wahrer Wein keine Geheimnisse haben darf; seine Geschichte muss erzählt, sein Zuhause muss gezeigt werden.

Die Keller: Die Katakomben der Zeit

Das Herz des Gutes schlägt unter der Erde. In den Lehm- und Stein-Katakomben mit den ehrwürdigen Namen Don Ponciano (1991), La Gran Cueva (1997) und Abuelo Damián (2013). Dies sind keine klimatisierten Lagerhallen. Dies sind natürliche Inkubatoren, wo konstante Feuchtigkeit und Kühle den Weinen erlauben, in einer Zeitlosigkeit zu reifen, die oberirdisch undenkbar ist.

Und tief in La Gran Cueva liegt das Sancta Sanctorum: Vobiscum. Ein vergitterter Raum, in dem eine kleine Auswahl von Fässern aus bester Eiche lagert. Hier reift nicht einfach ein Wein. Hier reift das Vermächtnis. Der Spaziergang durch diese unterirdischen Hallen ist keine Besichtigung. Es ist eine Pilgerreise durch die Schichten von Familie, Geduld und einem fast religiösen Respekt vor dem, was die Zeit vollbringen kann.

Die Erben: Das Weiterfließen der Seele

Die Geschichte wäre unvollständig ohne Gemma und Paula, David Morenos Töchter. Sie traten nicht in ein fertiges Imperium ein. Sie traten in eine lebendige Werkstatt ein, mit ihrem Vater als „bestem Lehrer und Beispiel für Arbeit und Leidenschaft“. Ihr Eintritt ist keine Übernahme, sondern eine Weitergabe der Flamme. Sie vereinen zwei Generationen: die urwüchsige Leidenschaft des Vaters mit der akademischen Präzision der Töchter. Sie führen nicht nur ein Geschäft. Sie hüten ein Ethos.

Der Geschmack: Wahrheit statt Mode

Was also schmeckt man in einem Wein von David Moreno? Man schmeckt die Abwesenheit von Eile. Die mineralische Dichte der alten Reben vom Alto Najerilla. Die würzige, nicht aufdringliche Prägung einer langsamen Reifung in uralten, erdigen Kellern. Es ist ein Rioja, der nicht nach internationaler Anerkennung schreit, sondern nach innerer Stimmigkeit.

Die Bodegas David Moreno sind kein Weingut im üblichen Sinne. Sie sind ein Beweis. Ein Beweis dafür, dass der größte Luxus nicht in Punkten, sondern in Authentizität liegt. Dass der mutigste Schritt manchmal der zurück zu den eigenen Wurzeln ist. Und dass der beste Wein nicht der ist, der am meisten kostet, sondern der, in dem die ungefilterte Seele eines Ortes und einer Familie unsterblich weiterlebt.

Hier wird nicht produziert. Hier wird wiedererlangt. Schluck für Schluck.

Zur Ergebnisliste springen

Filter

10 Artikel
Spaltenraster
ART
Verfügbarkeit
Preis
bis
Der höchste Preis ist €59,99
WeinAuswahl
Land
REGION
Eigenschaft
Rebsorten
Spaltenraster

Filtern

ART
Verfügbarkeit
Preis
bis
Der höchste Preis ist €59,99
WeinAuswahl
Land
REGION
Eigenschaft
Rebsorten